Nom français: Tache bactérienne
Nom anglais: Bacterial leaf spot
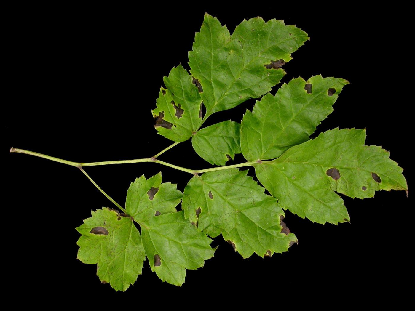
Description: Sur des feuilles de cièrge d'argent provenant d’un aménagement paysager, tous les niveaux de feuilles présentent des taches angulaires noires bordées d’un mince halo jaune. Les plants affectés sont jeunes et nouvellement transplantés. Les tests de laboratoire ont révélé la présence de la bactérie Xanthomonas sp., responsable de la tache bactérienne.
Crédit photo: Laboratoire d'expertise et de diagnostic en phytoprotection - MAPAQ
Légende: Taches angulaires sur feuilles de cièrge d'argent
Description

Toutes les plantes ornementales peuvent être affectées par la tache bactérienne causée par les genres Xanthomonas, Pseudomonas ou Acidovorax. Chez les plantes ornementales, les Xanthomonas sont décrits sous trois groupes soit Xanthomonas sp., X. axonopodis ou X. hortorum. Xanthomonas campestris est dorénavant réservé aux crucifères et à quelques plantes ornementales dont le nom de la bactérie n’a pas encore été révisé (ex. : iris – X. campestris pv. tardicrescens). Différents pathovars servent également à préciser la culture. Xanthomonas campestris est dorénavant réservé aux crucifères. Parmi les plantes ornementales les plus sensibles, on observe le bégonia, le dieffenbachia, le géranium, le lierre commun, le poinsettia et le zinnia. En général, la tache bactérienne est une maladie occasionnelle et mineure.

Cycle vital

La bactérie hiverne dans les résidus de culture contaminée et dans la semence. L’infection débute tôt lorsqu’elle est transmise par les semences, affectant les cotylédons en premier. Sur les feuilles, les bactéries pénètrent par les hydatodes, les stomates et les blessures. Chez les plantes ornementales, l’infection requiert une humidité élevée et une température optimale se situant entre 20 et 28 °C. La maladie se dissémine rapidement au contact de l’eau (éclaboussures, pluie, irrigation par aspersion, humidité relative élevée (> 90 %)), mais également par le vent, la machinerie, les travailleurs, les outils et les insectes. Les symptômes apparaissent sur le feuillage trois à sept jours suivant l'infection. Cette bactérie peut également être systémique chez certains hôtes (bégonia, dieffenbachia, géranium).

Symptômes et dommages

Selon la plante et les conditions environnementales, les symptômes varient. Les principaux symptômes sont énumérés ici.
 
Feuille : les premières taches sont petites (1 à 5 mm), jaunes diffus et d’aspect humide, avec ou sans halo jaune. En vieillissant, elles deviennent jaunes à brunes et angulaires, car le mouvement de la bactérie est limité par les nervures des feuilles. Les taches sont souvent délimitées par un large halo jaune. Généralement, les feuilles basales sont infectées en premier et pour certaines plantes, les symptômes débutent à la face inférieure (bégonia). Les taches progressent entre les nervures. Finalement, plusieurs taches peuvent s’agrandir, fusionner et causer la mort des vieilles feuilles. Chez le géranium et le bégonia, de nombreuses feuilles se couvrent de taches jaunes caractéristiques, en forme de « V », pointant dans la direction du pétiole. Lors d’une infection systémique, les nervures sont brunes à noires et quand l’infection débute, il peut arriver que les symptômes apparaissent sur une seule tige de la plante. Les plantes flétrissent.
 
Tige : prend une teinte vert foncé quand le système vasculaire est obstrué par les bactéries. Pourriture potentielle.

Ne pas confondre

La tache bactérienne à Xanthomonas peut être confondue avec des taches foliaires causées par d'autres bactéries (Pseudomonas spp., Acidovorax spp.).

Méthodes de lutte

Chez les plantes ornementales, il faut utiliser du matériel végétal sain (semences, boutures, transplants) et des cultivars résistants lorsque disponibles. Avoir une bonne gestion de l’irrigation par aspersion ou utiliser une irrigation goutte à goutte et de bonnes mesures d’hygiène lors de la manipulation des plants (laver mains et outils). Assurer une bonne aération entre les plants. Éviter les excès d’azote, les blessures et éliminer les plantes malades et les débris de culture.

Références et liens

Chase A. R., Daughtrey M. L. & Cloyd R. A. (Ed) (2018). Diseases Caused by Xanthomonas campestris Pathovars. Dans Compendium of Bedding Plant Diseases and Pests. APS Press, The American Phytopathological Society, St-Paul, Minnesota. p. 11.
 
Daughtrey M. L., Wick R. L. & Peterson J. L. (Eds) (2006). Diseases Caused by Pathovars of Xanthomonas campestris. Dans Compendium of Flowering Potted Plant Diseases. APS Press, The American Phytopathological Society, St-Paul, Minnesota. p. 54-55.
 
Dreistadt S. H. (2001). Bacterial Spots and Blights. Dans Integrated Pest Management for Floriculture and Nurseries. University of California, Publication 3402. p. 118-119.

https://wiki.bugwood.org/Xanthomonas_species_(Bacterial_leaf_spot_on_ornamentals)