La tache septorienne (Septoria apiicola) et la cercosporose (Cercospora apii) sont les deux maladies foliaires les plus importantes du céleri. Elles sont observées partout où le céleri est cultivé. Elle affecte également le céleri-rave. La tache septorienne est une maladie de conditions fraîches et humides. Elle se manifeste plus tardivement que la cercosporose, souvent dans la deuxième partie de la saison de croissance, mais elle est observée plus fréquente que la cercosporose. Elle peut causer des dommages importants aux plants lorsque la croissance est lente et que la rosée est abondante la nuit. Les spores de Septoria sont dispersées sur de plus courtes distances que les conidies de Cercospora. Les pertes de rendement et de qualité sont importantes lorsque les pétioles portent des lésions, car elle affecte la récolte en demandant plus de main-d’œuvre et de temps pour le parage des plants malades. Des pertes de rendement sont possibles en postrécolte lorsque la tache septorienne est en présence d’organismes secondaires et d’autres maladies, principalement la sclérotiniose. La maladie débute en foyer.
Le champignon hiverne sous la forme de mycélium ou de pycnides sur les semences (deux à trois ans), dans le sol sur les résidus de plantes infectées (céleri et céleri-rave) et les volontaires. Les plants de céleri contaminé, cultivés à proximité des champs en production, sont également des sources d’inoculum. Le niveau de maladie au champ est souvent corrélé avec le niveau de la maladie observé lors de la production de transplants. Les spores sont éjectées des pycnides et disséminées sur les tissus foliaires sains par le vent et l’eau (éclaboussure, pluie, irrigation), les travailleurs et le matériel agricole. Le champignon pénètre dans la feuille par les stomates ou directement par l’épiderme. Pour son développement, la tache septorienne nécessite une température fraîche (entre 21 et 25 °C) et des conditions humides en continue pendant plus de 36 heures (précipitations importantes, rosée, brouillard, irrigation par aspersion ou plantation dense). Les symptômes se manifestent 7 à 8 jours après le début de l’infection.
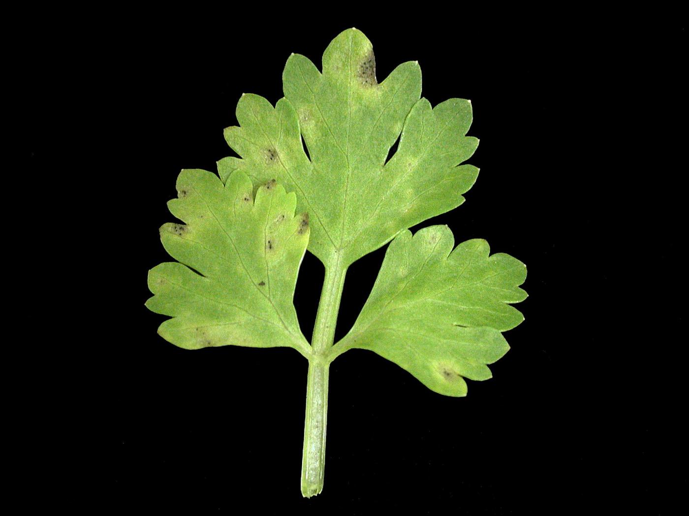
Feuille : au début, présence de taches jaunes, plutôt circulaires, à la face supérieure et inférieure. Le diamètre des taches varie entre 3 et 10 mm. Les taches évoluent et se regroupent pour former des lésions beiges à brunes qui se nécrosent. Les lésions nécrotiques ont une marge brune définie et sont parfois entourées d’un halo jaune. De petites pycnides noires sont observées sur les taches. Les tissus foliaires meurent lorsque la concentration de tache est trop élevée. Les symptômes progressent des feuilles extérieures vers les feuilles intérieures.
Pétiole : au début, présence de taches jaunes, plutôt circulaires, qui deviennent des taches allongées brunes qui sont parallèles à l’axe longitudinal du pétiole. L’infection sur les pétioles survient toujours après l’infection des feuilles. Elle débute lorsque des conidies, éjectées des pycnides présentent dans les feuilles, sont lessivées par la pluie ou la rosée sur les pétioles. Les symptômes progressent des pétioles extérieurs vers les pétioles intérieurs.
Plant : défoliation et rabougrissement.
La tache septorienne peut être confondue avec la cercosporose, mais la tache septorienne produit des pycnides sur les taches, les lésions sont plus petites et la marge est mieux définie que celles de la cercosporose. Elle peut également être confondue avec la tache bactérienne (Pseudomonas syringae pv. apii) mais la tache bactérienne ne produit pas de pycnide mais un flux bactérien.
On peut diminuer les risques associés à la tache septorienne par divers moyens tels que l’utilisation de semences saines ou traitées avec un fongicide avant le semis et des transplants de qualité. Faire des semis uniformes et éviter les semis denses pour diminuer l’humidité sur les feuilles, dépister régulièrement les transplants dans la serre, dès que les transplants sont prêts, planter au champ dans des sols bien drainés, assurer une fertilisation adéquate et prioriser l’irrigation goutte à goutte. Assurer une bonne circulation d’air entre les plants. Favoriser la rotation des cultures (> 2 ans) avec des plantes non hôtes. Éliminer les tissus infectés en cours de production, éliminer et enfouir profondément dans le sol les débris végétaux pour accélérer leur décomposition. Le travail au champ doit se faire lorsque le feuillage est sec. Quelques cultivars de céleri tolérants à la tache septorienne sont disponibles (cvs 'Emerson Pascal', 'Earligreen', 'June-Belle', etc.). Il est également possible de sélectionner des cultivars à port dressé. La lutte chimique est disponible en champ et pour la production de transplants. Comme la culture du céleri est généralement échelonnée dans le temps, il est important de protéger les plantations tardives contre l'infection qui peut s'être développée dans les parcelles hâtives.
Davis R. M. & Raid R. N. (Eds) (2002). Late Blight of Celery. Dans Compendium of Umbelliferous Crop Diseases. APS Press, The American Phytopathological Society, St-Paul, Minnesota. p. 21-22.
Richard C. & Boivin G. (1994). Septoriose (brûlure tardive) du céleri. Dans Maladies et Ravageurs des Cultures Légumières au Canada. La Société Canadienne de Phytopathologie et la Société d'Entomologie du Canada, Canada. p. 93-94. (http://phytopath.ca/wp-content/uploads/2014/10/MRCLC/ch7-celeri.pdf)
http://www.omafra.gov.on.ca/french/crops/facts/00-094.htm
http://ipm.ucanr.edu/PMG/r104100111.html
https://www.plantwise.org/KnowledgeBank/Datasheet.aspx?dsid=49630














