Nom anglais: Tomato ringspot virus (ToRSV)
Description: Les feuilles de bleuet en corymbe présentent des taches circulaires, pourpres à brunes entourées d’un halo jaune verdâtre. Les taches engendrent une malformation des feuilles qui deviennent sinueuses. Les tests de laboratoire ont révélé la présence du virus de la tache annulaire de la tomate (ToRSV). Le nématode Xiphinema a également été détecté dans le sol.
Crédit photo: Laboratoire d'expertise et de diagnostic en phytoprotection - MAPAQ
Légende: Taches et malformation sur feuilles de bleuet en corymbe
Description: La feuille de bleuet en corymbe (cv 'Chippewa') présente des taches circulaires, roses à pourpres, entourées d’un halo jaune. Les taches engendrent une malformation des feuilles qui deviennent sinueuses. Les tests de laboratoire ont révélé la présence du virus de la tache annulaire de la tomate (ToRSV).
Crédit photo: Luc Urbain - MAPAQ
Légende: Taches et malformation sur feuille de bleuet en corymbe
Description: La feuille de bleuet en corymbe (cv 'Chippewa') présente des taches circulaires, roses à pourpres, entourées d’un halo jaune. Les taches engendrent une malformation des feuilles qui deviennent sinueuses. Les tests de laboratoire ont révélé la présence du virus de la tache annulaire de la tomate (ToRSV).
Crédit photo: Luc Urbain - MAPAQ
Légende: Taches et malformation sur feuille de bleuet en corymbe
Description: Les feuilles de bleuet en corymbe (cv 'Chippewa') présentent des taches circulaires, roses à pourpres entourées d’un halo jaune. Les taches engendrent une malformation des feuilles qui deviennent sinueuses. Les nouvelles feuilles sont rares et petites. La production de fruits est faible sur les tiges infectées. Les tests de laboratoire ont révélé la présence du virus de la tache annulaire de la tomate (ToRSV).
Crédit photo: Luc Urbain - MAPAQ
Légende: Taches et malformation sur feuilles de bleuet en corymbe
Description: Les feuilles de bleuet en corymbe (cv 'Chippewa') présentent des taches circulaires, roses à pourpres entourées d’un halo jaune. Les taches engendrent une malformation des feuilles qui deviennent sinueuses. Les tests de laboratoire ont révélé la présence du virus de la tache annulaire de la tomate (ToRSV).
Crédit photo: Luc Urbain - MAPAQ
Légende: Taches et malformation sur feuilles de bleuet en corymbe
Description: Les feuilles de bleuet en corymbe (cv 'Chippewa') présentent des taches circulaires, roses à pourpres entourées d’un halo jaune. Les taches engendrent une malformation des feuilles qui deviennent sinueuses. Les tests de laboratoire ont révélé la présence du virus de la tache annulaire de la tomate (ToRSV).
Crédit photo: Luc Urbain - MAPAQ
Légende: Taches et malformation sur feuilles de bleuet en corymbe
Description: Les feuilles de bleuet en corymbe (cv 'Chippewa') présentent des taches circulaires, roses à pourpres entourées d’un halo jaune. Les taches engendrent une malformation des feuilles qui deviennent sinueuses. Les tests de laboratoire ont révélé la présence du virus de la tache annulaire de la tomate (ToRSV).
Crédit photo: Luc Urbain - MAPAQ
Légende: Taches et malformation sur feuilles de bleuet en corymbe
Description: Les feuilles de bleuet en corymbe présentent des taches circulaires, pourpres à brunes entourées d’un halo jaune verdâtre. Les taches engendrent une malformation des feuilles qui deviennent sinueuses. Les tests de laboratoire ont révélé la présence du virus de la tache annulaire de la tomate (ToRSV). Le nématode Xiphinema a également été détecté dans le sol.
Crédit photo: Laboratoire d'expertise et de diagnostic en phytoprotection - MAPAQ
Légende: Taches et malformation sur feuilles de bleuet en corymbe
Description: Les feuilles de ce bleuetier en corymbe présentent des taches plutôt circulaires, pourpres à brunes et entourées d’un halo jaune verdâtre. Les taches engendrent une malformation des feuilles qui deviennent sinueuses. Ces symptômes sont caractéristiques du virus de la tache annulaire de la tomate (ToRSV) chez le bleuetier en corymbe. Les tests de laboratoire ont confirmé la présence de ce virus dans l’échantillon.
Crédit photo: Laboratoire d'expertise et de diagnostic en phytoprotection - MAPAQ
Légende: Taches et malformation sur feuilles de bleuetier en corymbe
Description: La feuille de ce bleuetier en corymbe présente des taches plutôt circulaires, pourpres à brunes et entourées d’un halo jaune. Les taches engendrent une malformation de la feuille qui la rend sinueuse. Ces symptômes sont caractéristiques du virus de la tache annulaire de la tomate (ToRSV) chez le bleuetier en corymbe. Les tests de laboratoire ont confirmé la présence de ce virus dans l’échantillon.
Crédit photo: Laboratoire d'expertise et de diagnostic en phytoprotection - MAPAQ
Légende: Taches et malformation sur une feuille de bleuetier en corymbe
Description: Les feuilles de ce bleuetier en corymbe présentent des taches pourpres à brunes, de différentes tailles et formes et entourées d’un halo jaune verdâtre. Les taches engendrent une malformation des feuilles qui deviennent sinueuses. Ces symptômes sont caractéristiques du virus de la tache annulaire de la tomate (ToRSV) chez le bleuetier en corymbe. Les tests de laboratoire ont confirmé la présence de ce virus dans l’échantillon.
Crédit photo: Laboratoire d'expertise et de diagnostic en phytoprotection - MAPAQ
Légende:
Taches et malformation sur feuilles de bleuetier en corymbe
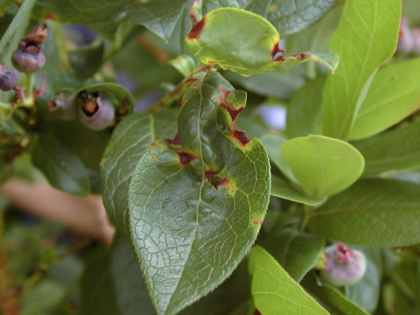
Description: Sur cette feuille de bleuetier en corymbe, on observe des taches pourpres à brunes de différentes tailles entourées d’un halo jaune verdâtre. Les taches engendrent une malformation de la feuille qui devient sinueuse. Ces symptômes sont caractéristiques du virus de la tache annulaire de la tomate (ToRSV) chez le bleuetier en corymbe. Les tests de laboratoire ont confirmé la présence de ce virus dans l’échantillon.
Crédit photo: Laboratoire d'expertise et de diagnostic en phytoprotection - MAPAQ
Légende: Taches et malformation sur une feuille de bleuetier en corymbe
Bleuet en corymbe - Virus de la tache annulaire de la tomate (ToRSV)
Bleuet en corymbe - Virus de la tache annulaire de la tomate (ToRSV)
Bleuet en corymbe - Virus de la tache annulaire de la tomate (ToRSV)
Bleuet en corymbe - Virus de la tache annulaire de la tomate (ToRSV)
Bleuet en corymbe - Virus de la tache annulaire de la tomate (ToRSV)
Bleuet en corymbe - Virus de la tache annulaire de la tomate (ToRSV)
Bleuet en corymbe - Virus de la tache annulaire de la tomate (ToRSV)
Bleuet en corymbe - Virus de la tache annulaire de la tomate (ToRSV)
Bleuet en corymbe - Virus de la tache annulaire de la tomate (ToRSV)
Bleuet en corymbe - Virus de la tache annulaire de la tomate (ToRSV)
Bleuet en corymbe - Virus de la tache annulaire de la tomate (ToRSV)
Bleuet en corymbe - Virus de la tache annulaire de la tomate (ToRSV)
Description

Plusieurs virus peuvent infecter le bleuet en corymbe, mais au Québec, seulement quelques maladies virales ont été rapportées. Le virus de la tache annulaire de la tomate (ToRSV - Nepovirus) est le virus le plus fréquemment rencontré. Chez le bleuet en corymbe, cette maladie virale est occasionnelle, mais sévère. Le ToRSV a été recensé sur plus de 35 familles de plantes à travers le monde. Il affecte particulièrement les cultures maraichères et fruitières, les plantes ornementales (ligneuses et herbacées) et certaines mauvaises herbes. Le nématode Xiphinema est vecteur de ce virus.

Xiphinema est un nématode ectoparasite qui transmet le virus lorsqu’il se nourrit de la paroi cellulaire des racines à l’aide de son stylet. Il se déplace très lentement entre les particules de sol grâce aux films d’eau. Sa vitesse de déplacement explique la présence de symptômes en petits foyers le long d’une rangée plutôt qu’entre les rangées. Cette information est très pertinente pour le diagnostic au champ. Généralement, les nématodes phytopathogènes n'ont pas une distribution uniforme dans un champ. Au champ, les plants affectés sont distribués de manière éparse ou en petits foyers. Des cultivars sont très sensibles (ex. : cultivars Patriot, Chippewa, Berkely) et d’autres tolérants (ex. : cultivar Bluecrop, Blueray, Jersey). Parfois des baisses de rendement importantes sont enregistrées.

Cycle vital

Le principal moyen de dissémination provient de la multiplication végétative telle que le bouturage et le greffage de plants mères virosés. Une fois introduits dans la bleuetière, les nématodes vecteurs (Xiphinema (surtout) et Longidorus) dispersent le virus aux plants voisins. Les Xiphinema hivernent dans le sol. Ils ont six stades de développement soit un stade œuf, quatre stades juvéniles (J1 à J4) et un stade adulte. Tous les stades ont la forme d’un ver et sont mobiles (sauf stade œuf). Au printemps, les jeunes nématodes migrent jusqu’aux racines des plantes hôtes. Ils piquent l’extrémité des racines du bleuetier, principalement dans la zone de la coiffe, en se nourrissant. Xiphinema acquiert le virus en une heure sur une plante infectée et le transmet dans le même temps aux plantes saines. Il peut transmettre le virus durant plusieurs mois. Les populations diminuent lorsque le sol gèle ou que l’humidité du sol est trop élevée ou trop basse. Xiphinema complète son cycle vital en une année. La température optimale pour la reproduction se situe entre 20 et 25 °C.

Symptômes et dommages

Feuille : sur les jeunes feuilles, présence de taches circulaires, rouges à brunes, souvent entourées d’un halo jaune à jaune verdâtre. Les taches mesurent entre 2 et 5 mm de diamètre. Les taches sèchent puis tombent. Les feuilles sont plus petites, plus épaisses et très rapprochées sur la tige de sorte qu’elles prennent l’apparence de rosettes. Déformation de la feuille conférant au limbe une forme sinueuse.
 
Fruit : petit et chute facilement au sol. Diminution de la production et de la qualité des fruits sur les tiges infectées.
 
Tige : présence de taches nécrotiques brunes de 2 à 5 mm de diamètre.
 
Plant : infection non uniforme à l’intérieur d’un plant avec un mélange de tiges infectées et des feuilles saines ou de tiges infectées et des tiges complètement défoliées. Dépérissement graduel et mort des plants. Nanisme lorsque comparé à un plant sans symptôme.

Ne pas confondre

Le ToRSV peut être confondu avec le virus de la tache nécrotique (TRSV – entrenoeuds très courts), l’anthracnose (Colletotrichum sp. – fleurs et fruits bien formés, pas de rosette foliaire), une carence en bore (pas de taches foliaires, dommage généralisé) et le gel hivernal (dommage généralisé) ou printanier (repousses de tiges sur les plants). Les phytoplasmes produisent les dommages les plus confondants, mais il n’y a pas de taches ni de torsions foliaires et aucun dépérissement de l'extrémité des rameaux.

Méthodes de lutte

Il n’y a pas de méthodes de lutte efficace contre les ToRSV dans les cultures vivaces une fois l’infection installée. Un ensemble de mesures préventives reste l’approche la plus recommandable pour éviter la maladie. Pour limiter le développement des virus dans les bleuetières, il faut se procurer des plants certifiés et des cultivars tolérants, faire analyser le sol avant l’établissement d’une nouvelle plantation, éradiquer les mauvaises herbes surtout le pissenlit (Taraxacum officinale), la stellaire moyenne (Stellaria media) et le plantain lancéolé (Plantago lanceolata) qui sont des réservoirs pour Xiphinema et enlever et détruire les plants virosés car ils sont incurables.

Références et liens

Caruso F.L. & Ramsdell D.C. (Eds) (1995). Tomato Ringspot. Dans Compendium of Blueberry and Cranberry Diseases. APS Press. The American Phytopathological Society Press, St-Paul, Minnesota. p. 55-56.
 
Lambert L., Laplante G.H., Carisset O. & Vincent C. (2007). Maladies virales chez le bleuet en corymbe. Dans Guide de maladies, ravageurs et organismes bénéfiques du fraisier, du framboisier et du bleuetier. CRAAQ (Centre de référence en agriculture et agroalimentaire du Québec). p. 230-239.

http://www.agrireseau.qc.ca/lab/documents/ToRSV%20du%20bleuet_final.pdf

http://migarden.msu.edu/uploads/files/E3048.pdf

http://www.cabi.org/isc/datasheet/54076