Identificateur
Gérard Gilbert
Crédit photo
Laboratoire d'expertise et de diagnostic en phytoprotection - MAPAQ
Fournisseur
Jean-François Goulet
Photographe
Michel Lacroix
Légende
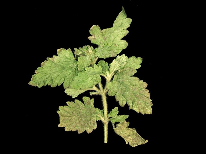
Taches et brûlure marginale sur feuilles de verveine
OrganisationFournisseur
IQDHO
Une vue rapprochée des feuilles de verveine montre des taches brun rougeâtre localisées essentiellement à la marge. Elles se regroupent pour former une brûlure marginale. Les tests de laboratoire ont révélé la présence du virus de la tache nécrotique de l'impatiente (INSV).