Identificateur
Gérard Gilbert
Crédit photo
Laboratoire d'expertise et de diagnostic en phytoprotection - MAPAQ
Fournisseur
Andrée Roy
Photographe
Michel Lacroix
Légende
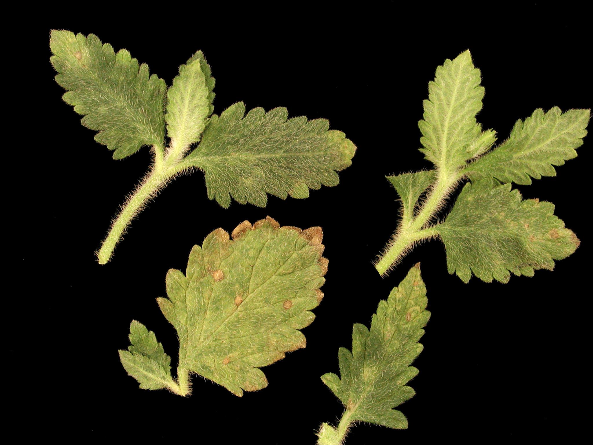
Taches, brûlure et jaunissement sur feuilles de verveine
OrganisationFournisseur
MAPAQ
Les jeunes feuilles de verveine présentent des taches ou zones irrégulières vert pâle à jaunes et de minuscules taches brunes et sèches entre les nervures. Sur la feuille plus âgée, présence d’une brûlure marginale et de quelques taches brunes et sèches sur le limbe. Les tests de laboratoire ont révélé la présence du virus de la tache nécrotique de l'impatiente (INSV).