Identificateur
Michel Lacroix
Crédit photo
Laboratoire d'expertise et de diagnostic en phytoprotection - MAPAQ
Fournisseur
Consortium Prisme
Photographe
Chantal Malenfant
Légende
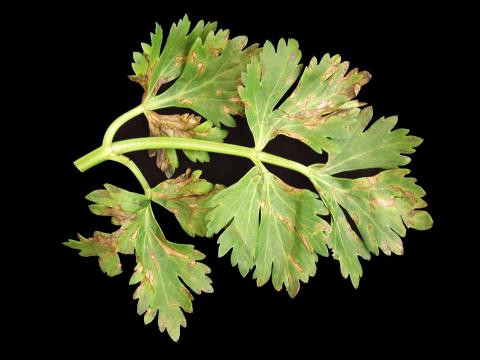
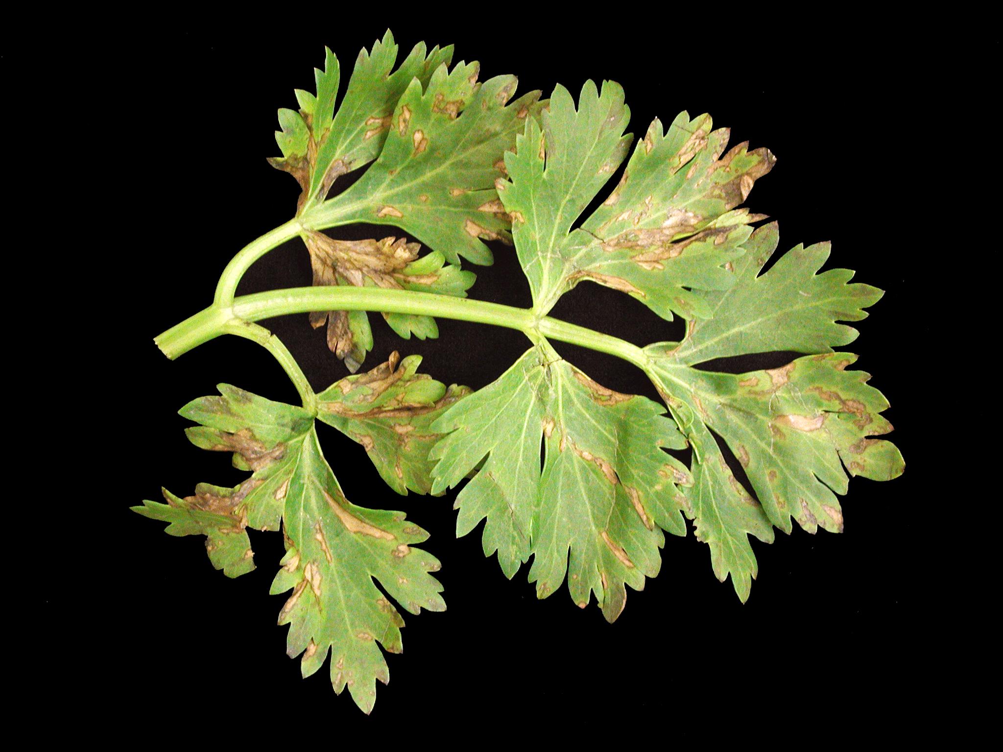
Taches et brûlures sur feuilles de céleri
OrganisationFournisseur
Consortium Prisme
Les feuilles basales et médianes de céleri montrent des taches ou brûlures irrégulières brun pâle avec une marge foncée, d’une apparence sèche et sans halo jaune. Elles sont réparties au hasard sur les feuilles. Les tests de laboratoire ont révélé la présence de la bactérie Pseudomonas syringae, responsable de la tache bactérienne chez le céleri. Il s’agit fort probablement de P. s. pv. apii.