Identificateur
Caroline Turcotte
Crédit photo
Caroline Turcotte - MAPAQ
Fournisseur
Cultur'Innov
Photographe
Caroline Turcotte
Légende
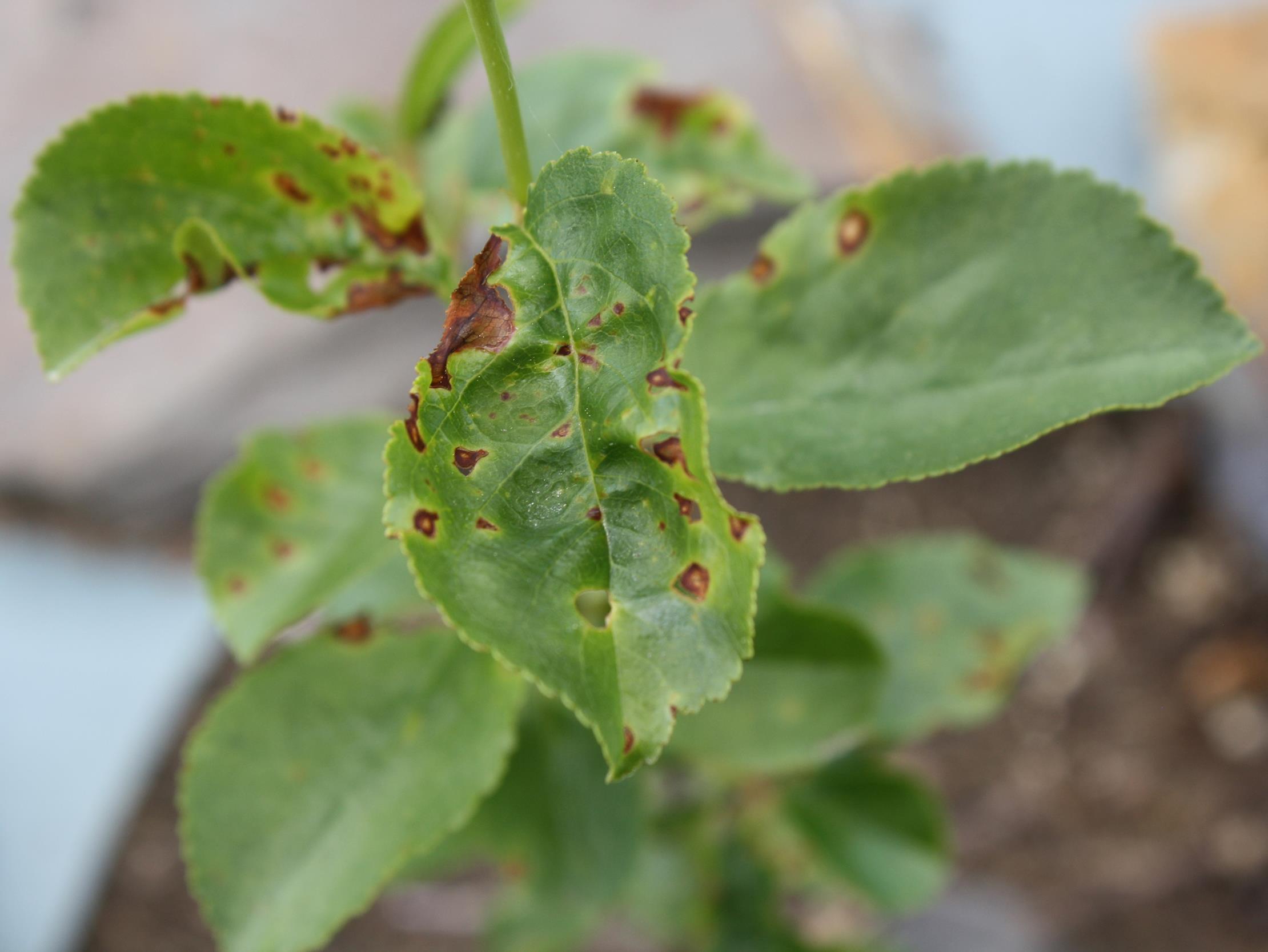
Taches causées par la coulure bactérienne sur les feuilles d'un cerisier nain rustique.
OrganisationFournisseur
Ministère de l'Agriculture, des Pêcheries et de l'Alimentation du Québec
Sur cette photo prise à la fin du mois de juin, on observe des taches causées par la coulure bactérienne sur les feuilles d'un cerisier nain rustique. Au début, elles sont jaunes (chloroses), puis elles se nécrosent et se détachent du limbe.