Identificateur
Caroline Turcotte
Crédit photo
Caroline Turcotte - MAPAQ
Fournisseur
Cultur'Innov
Photographe
Caroline Turcotte
Légende
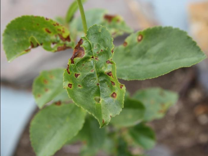
Fleurs de cerisier nain rustique infectées par la coulure bactérienne.
OrganisationFournisseur
Ministère de l'Agriculture, des Pêcheries et de l'Alimentation du Québec
On remarque sur la photo une forte pression de la bactérie Pseudomonas syringae sur les nouvelles pousses et les bouquets floraux du cerisier nain rustique. Les fleurs sont flétries et brunies, mais restent accrochées à la tige.