Identificateur
Michel Lacroix
Crédit photo
Laboratoire d'expertise et de diagnostic en phytoprotection - MAPAQ
Fournisseur
Laboratoire de diagnostic en phytoprotection
Photographe
Chantal Malenfant
Légende
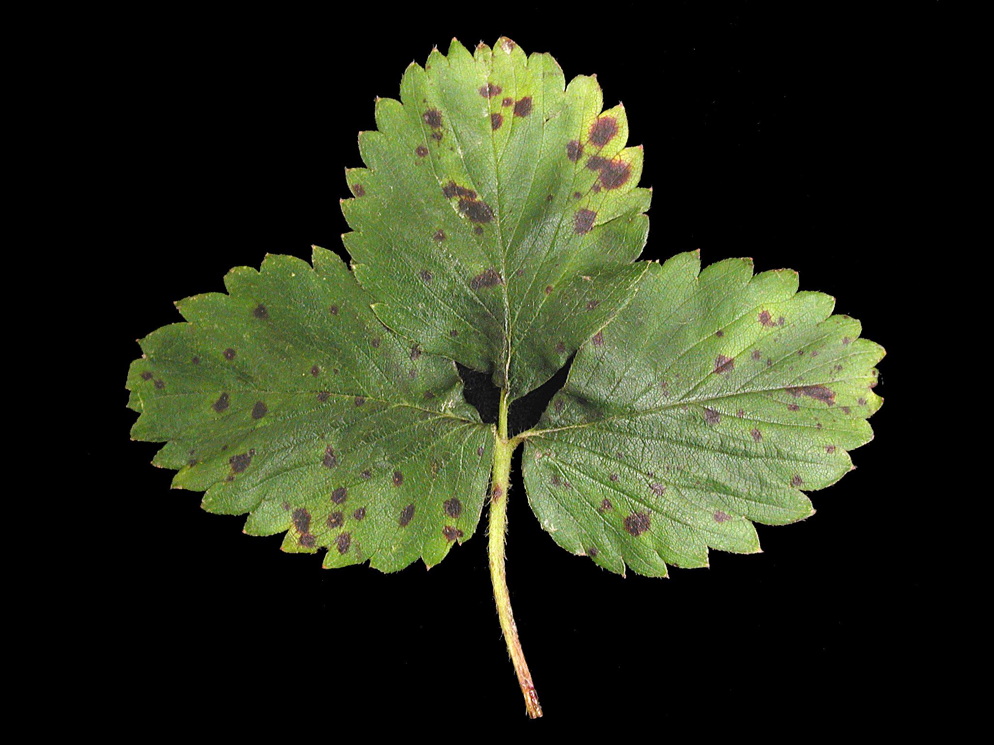
Taches pourpres sur feuille de fraisier
OrganisationFournisseur
Ministère de l'Agriculture, des Pêcheries et de l'Alimentation du Québec
À la face supérieure des folioles de fraisier, présence de taches irrégulières complètement pourpres. Les taches sont réparties aléatoirement sur le limbe. Les tests de laboratoire ont révélé la présence du champignon Diplocarpon earlianum, responsable de la tache pourpre chez le fraisier.