Identificateur
Michel Lacroix
Crédit photo
Laboratoire d'expertise et de diagnostic en phytoprotection - MAPAQ
Fournisseur
Laboratoire de diagnostic en phytoprotection
Photographe
Chantal Malenfant
Légende
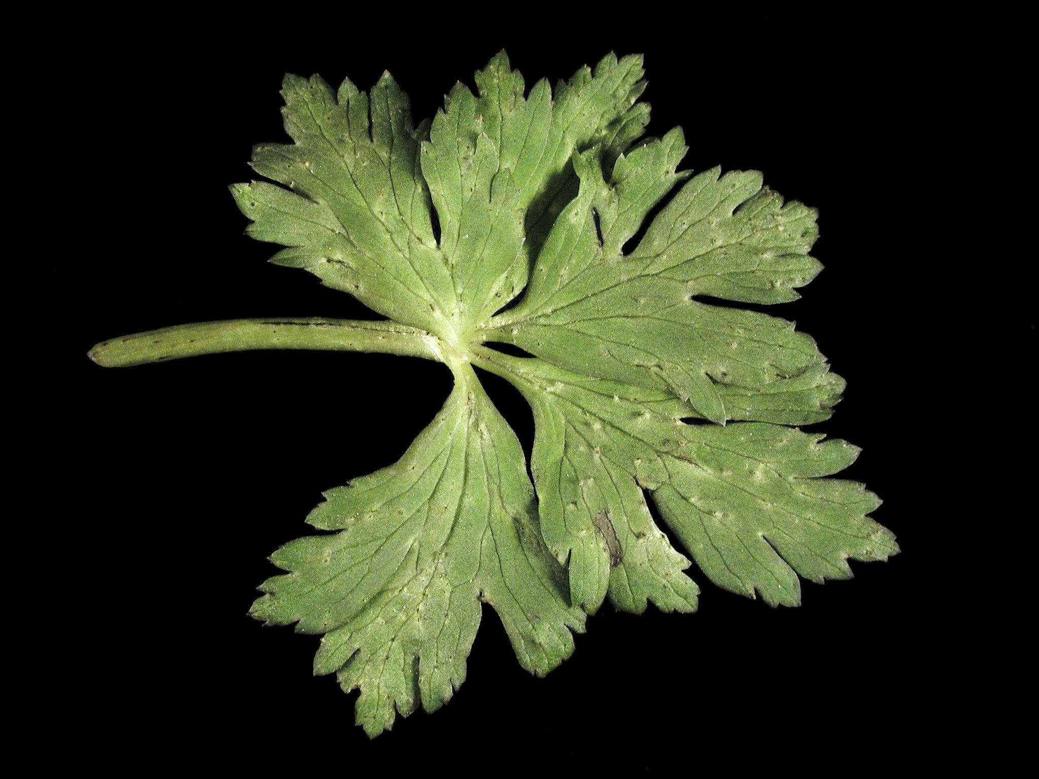
Taches surélevées sur feuille de trolle de Chine
OrganisationFournisseur
Ministère de l'Agriculture, des Pêcheries et de l'Alimentation du Québec
Cette feuille de trolle de Chine (cv 'Golden Queen') cultivée en serre présente de minuscules taches ou ponctuations circulaires et surélevées. Le diamètre des taches est inférieur à 1 mm. Elles sont réparties au hasard sur le limbe et les feuilles affectées comptent de nombreuses taches. Les symptômes sont présents à la face supérieure et inférieure. Les mêmes symptômes sont visibles sur le pétiole, en plus d’un fendillement longitudinal. Les tests de laboratoire se sont avérés négatifs pour la détection de phytoplasme. Par contre, le pH du substrat est élevé (7,1) ce qui peut rendre le bore moins disponible pour la plante. La conseillère mentionne que les symptômes n’ont pas évolué depuis l’envoi de l’échantillon, ce qui signifie que le problème n’est pas de nature infectieuse. Il est possible de croire que les symptômes soient causés par un pH inadéquat du substrat qui a rendu le bore moins disponible pour la plante.