Identificateur
Michel Lacroix
Crédit photo
Laboratoire d'expertise et de diagnostic en phytoprotection - MAPAQ
Fournisseur
Laboratoire de diagnostic en phytoprotection
Photographe
Chantal Malenfant
Légende
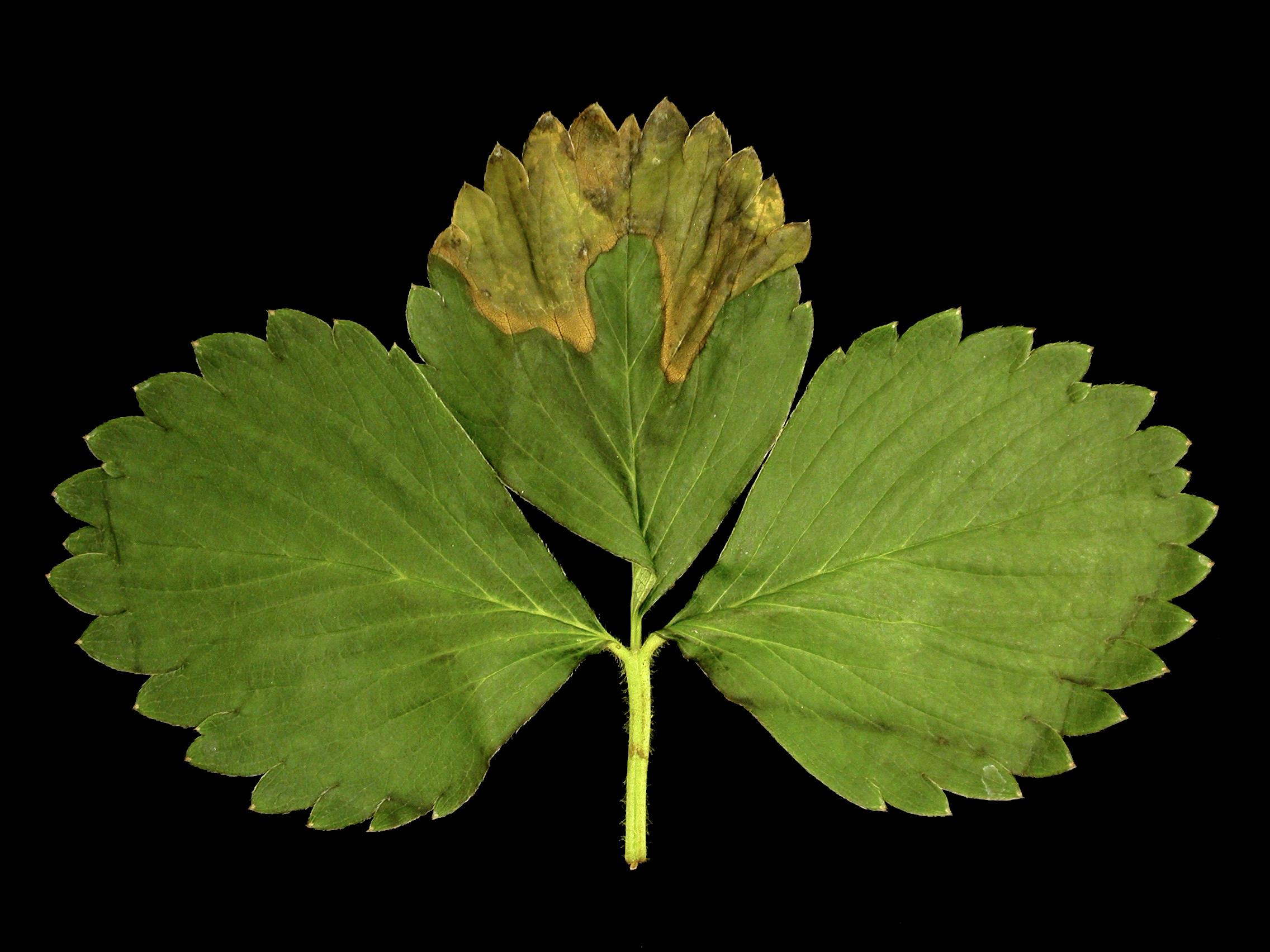
Brûlures sur foliole de fraisier
OrganisationFournisseur
Ministère de l'Agriculture, des Pêcheries et de l'Alimentation du Québec

Une foliole de fraisier présente des brûlures irrégulières, vert terne, dont la marge est brunâtre, d'une apparence non sèche et sans halo jaune. Elles sont réparties à l'apex ou à la marge d'une ou deux folioles par feuille. Les brûlures progressent sur une longueur de 1 à 5 cm. Les dommages sont causés par une phytotoxicité à l’insecticide cyperméthrine (RIPCORD 400 EC).