Identificateur
Annie Marcoux
Crédit photo
Laboratoire d'expertise et de diagnostic en phytoprotection - MAPAQ
Fournisseur
Josée Bonneville
Photographe
Chantal Malenfant
Légende
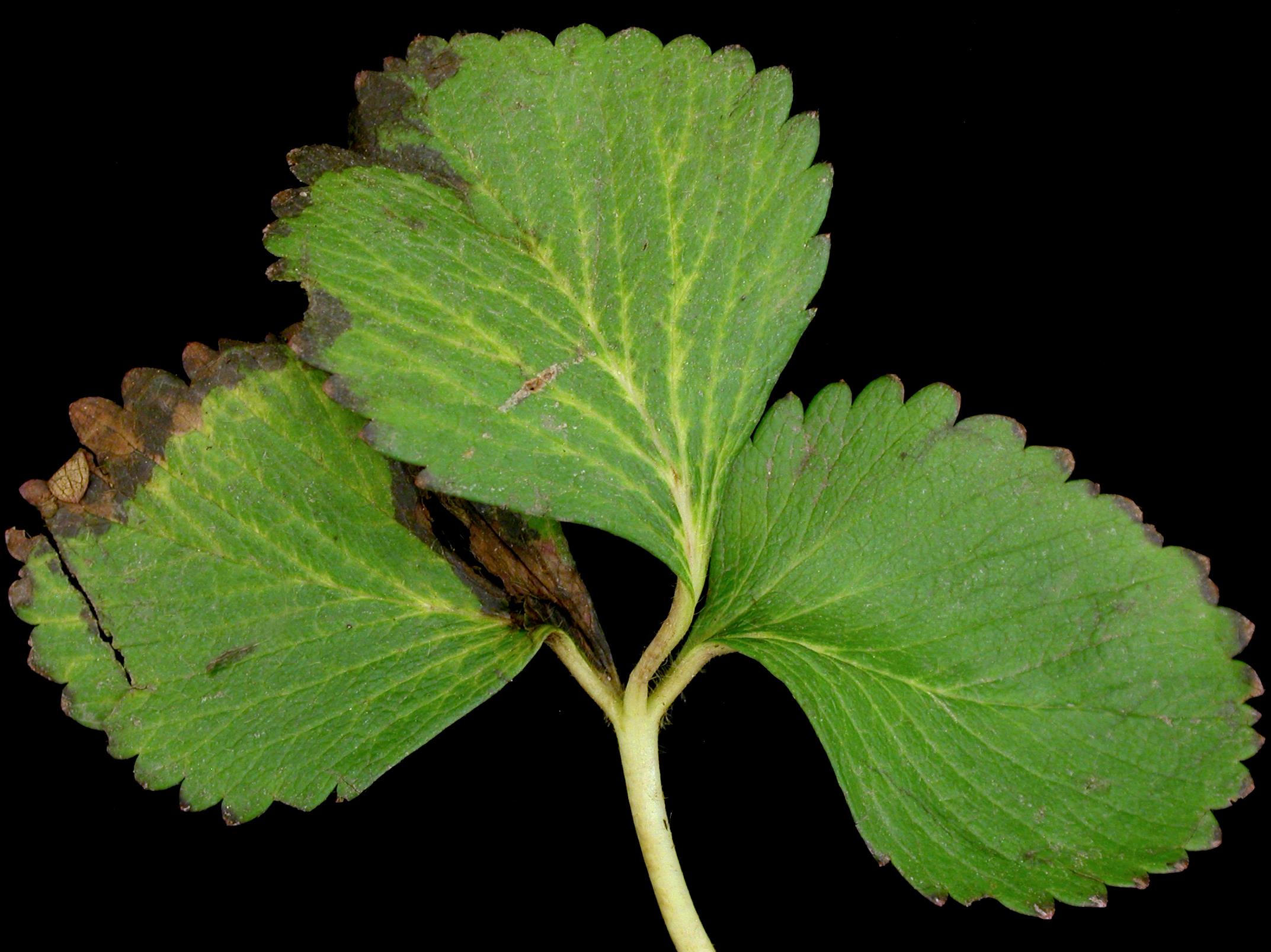
Feuille de fraisier avec jaunissement et brûlures
OrganisationFournisseur
Potager Mont Rouge

Une feuille de fraisier du cv « Jewel » présente un début de jaunissement des nervures ainsi que des brûlures à la marge des folioles. Ces symptômes sont caractéristiques d’une phytotoxicité causée par le terbacil (SINBAR®), un herbicide ayant été appliqué au printemps dans la plantation. Le terbacil est homologué dans la culture de la fraise. L’étiquette spécifie que « la sensibilité à cet herbicide diffère selon les variétés de fraisiers...Une légère altération du feuillage peut se produire après l’application de l’herbicide ».