Description: Deux feuilles de vigne présentent des malformations, lorsque comparées à une feuille saine. Sur la feuille de gauche, les symptômes sont modérés et sur celle du centre ils sont sévères. Le limbe présente une malformation caractérisée par une forme asymétrique. À gauche, les lobes ont la forme de dents puisque leurs extrémités sont plus allongées et aiguës. Au centre, le limbe est considérablement réduit, en forme d'éventail, sa marge se prolonge en longues excroissances filiformes. Les nervures … En savoir plus
Crédit photo: Laboratoire d'expertise et de diagnostic en phytoprotection - MAPAQ
Légende: Comparaison entre une feuille de vigne saine et deux feuilles affectées
Description: Comparaison entre des feuilles de vigne affectées et saines. Plusieurs feuilles ont un limbe qui présente une malformation caractérisée par une forme asymétrique, les lobes sont dentelés et les extrémités sont plus allongées et aiguës. Le limbe est considérablement réduit, en forme d'éventail et la marge se prolonge en longues excroissances filiformes. Les nervures sont parallèles. Ces malformations sont caractéristiques d'une phytotoxicité par des herbicides du groupe 4 (phytohormones ou auxine… En savoir plus
Crédit photo: Laboratoire d'expertise et de diagnostic en phytoprotection - MAPAQ
Légende: Comparaison entre des feuilles de vigne saines et affectées
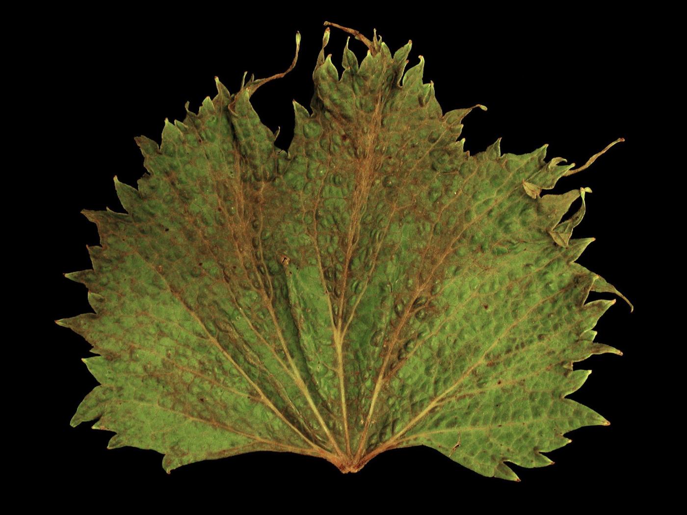
Description: La face supérieure d’une feuille de vigne (cv 'Eona') montre une marge très découpée en forme de dents allongées avec des excroissances filiformes, du gaufrage et une surface du limbe bosselée ainsi que des nervures saillantes et parallèles. Les jeunes feuilles sont les plus affectées. Ces malformations sont typiques d'une phytotoxicité par des herbicides du groupe 4 (phytohormones ou auxines). Malheureusement, l’herbicide responsable des dommages n’a pu être précisé.
Crédit photo: Laboratoire d'expertise et de diagnostic en phytoprotection - MAPAQ
Légende: Malformation sévère d'une feuille de vigne
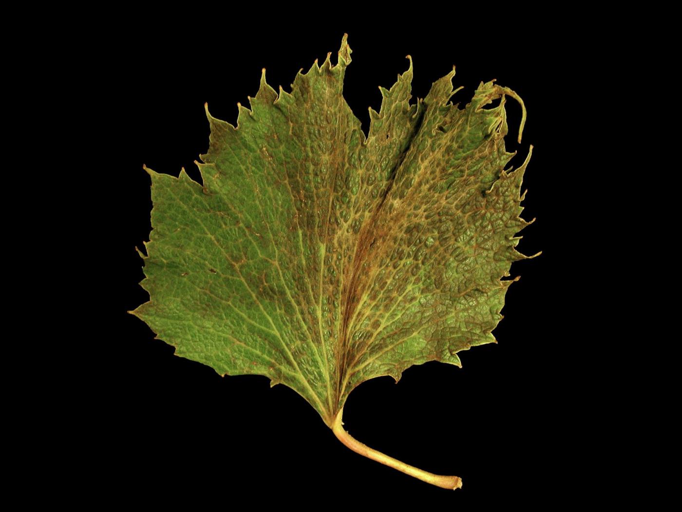
Description: La face inférieure d’une feuille de vigne (cv 'Eona') montre une marge très découpée en forme de dents allongées avec des excroissances filiformes et des nervures saillantes et parallèles. Les jeunes feuilles sont les plus affectées. Ces malformations sont typiques d'une phytotoxicité par des herbicides du groupe 4 (phytohormones ou auxines). Malheureusement, l’herbicide responsable des dommages n’a pu être précisé.
Crédit photo: Laboratoire d'expertise et de diagnostic en phytoprotection - MAPAQ
Légende: Malformation sévère d'une feuille de vigne
Description: La face supérieure d’une feuille de vigne (cv 'Eona') montre une marge très découpée en forme de dents allongées avec des excroissances filiformes, du gaufrage et une surface du limbe bosselée ainsi que des nervures saillantes et parallèles. Les jeunes feuilles sont les plus affectées. Ces malformations sont typiques d'une phytotoxicité par des herbicides du groupe 4 (phytohormones ou auxines). Malheureusement, l’herbicide responsable des dommages n’a pu être précisé.
Crédit photo: Laboratoire d'expertise et de diagnostic en phytoprotection - MAPAQ
Légende: Malformation sévère d'une feuille de vigne
Description: La face inférieure d’une feuille de vigne (cv 'Eona') montre une marge très découpée en forme de dents allongées avec des excroissances filiformes et des nervures saillantes et parallèles. Les jeunes feuilles sont les plus affectées. Ces malformations sont typiques d'une phytotoxicité par des herbicides du groupe 4 (phytohormones ou auxines). Malheureusement, l’herbicide responsable des dommages n’a pu être précisé.
Crédit photo: Laboratoire d'expertise et de diagnostic en phytoprotection - MAPAQ
Légende: Malformation sévère d'une feuille de vigne
Description: Les feuilles de vigne montrent une marge très découpée en forme de dents allongées avec des excroissances filiformes, du gaufrage et une surface du limbe bosselée ainsi que des nervures saillantes et parallèles. Les jeunes feuilles sont les plus affectées. Ces malformations sont typiques d'une phytotoxicité par des herbicides du groupe 4 (phytohormones ou auxines). Malheureusement, l’herbicide responsable des dommages n’a pu être précisé.
Crédit photo: Laboratoire d'expertise et de diagnostic en phytoprotection - MAPAQ
Légende: Malformation sévère d'une feuille de vigne
Vigne (raisin) - herbicides phytohormonaux (4)_1
Vigne (raisin) - herbicides phytohormonaux (4)_2
Vigne (raisin) - herbicides phytohormonaux (4)_3
Vigne (raisin) - herbicides phytohormonaux (4)_4
Vigne (raisin) - herbicides phytohormonaux (4)_5
Vigne (raisin) - herbicides phytohormonaux (4)_6
Vigne (raisin) - herbicides phytohormonaux (4)_7
Description

Les herbicides du groupe de résistance 4 regroupent les herbicides de type phytohormones de synthèse ou auxines synthétiques. On y retrouve, entre autres, le 2,4-D, le clopyralide, le dicamba et le mécoprop. Ce groupe d’herbicide est absorbé rapidement par le feuillage et les racines, peut s'accumuler dans les zones de divisions cellulaires intensives (méristème, bourgeon, racine) et est transloqué dans la plante par le xylème et le phloème. Il entraine une croissance anormale de la plante.
 
La vigne est très sensible aux herbicides phytohormonaux, particulièrement le 2,4-D et le dicamba. Certaines formulations des herbicides phytohormonaux sont très volatiles et la dérive, sous forme de vapeur, peut endommager les vignes selon les conditions climatiques observées après l’application. Même à faible dose, les vapeurs de ces herbicides affectent parfois les vignes qui sont à près de 2 kilomètres du lieu d’application. La vigne est beaucoup plus sensible que le maïs et le blé. Les symptômes apparaissent généralement 2 jours après le traitement.

Ne pas confondre

Chez la vigne, les dommages causés par une phytotoxicité par des herbicides phytohormonaux peuvent être confondus avec le virus du court-noué de la vigne (Grapevine fanleaf virus (GFLV)).

Prévention

Pour diminuer les risques de phytotoxicité, il faut éviter les dérives sur les cultures lors de l’application, utiliser des jets dirigés au besoin, ne pas appliquer par temps venteux, respecter les consignes inscrites sur l’étiquette et bien nettoyer le pulvérisateur.

Dommage

Feuille : déformation des jeunes feuilles. La feuille peut montrer une marge très découpée en forme de dents allongées avec des excroissances filiformes, du gaufrage, une surface du limbe bosselée et des nervures saillantes et parallèles.
 
Fruit : la couleur de l’épiderme est parfois altérée, le taux de sucre diminue et l’acidité des baies augmente.
 
Tige : affecte la croissance de l’extrémité des pousses annuelles. La croissance des tiges latérales se poursuit, conférant aux plants un aspect de buisson.

Références et liens

Pearson R. C. & Goheen A. C. (Eds) (1998). Pesticide Toxicity. Dans Compendium of Grape Diseases. APS Press. The American Phytopathological Society Press, St-Paul, Minnesota. p. 69-71.

https://catalog.extension.oregonstate.edu/sites/catalog/files/project/pdf/em8860.pdf