Aller au contenu principal
Accueil
Toggle menu
Me connecter
  • Accueil
  • Rechercher
    • Symptômes et dommages sur les plantes
    • Culture
    • Insectes et autres invertébrés
    • Mauvaises herbes et autres plantes
    • Virus et viroïdes
    • Champignons
    • Nématodes
    • Bactéries et phytoplasmes
  • Identifier
  • Glossaire
  • Galerie d'images

Galerie d'images

  1. Accueil
  2. Galerie d'images
Maïs grain et fourrager - Grêle
Maïs grain et fourrager - Grêle

Maïs grain et fourrager - Grêle

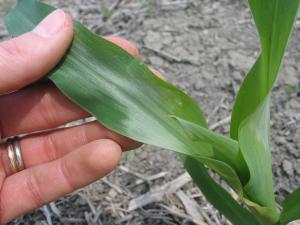
Le limbe de certaines feuilles de maïs grain et fourrager s’est déchiré (voir flèches) sous l’impact de la grêle. Les feuilles médianes et terminales sont les plus touchées. L...
Image Contenu lié à l’Image
Maïs grain et fourrager - Grêle
Maïs grain et fourrager - Grêle

Maïs grain et fourrager - Grêle

Le limbe de certaines feuilles de maïs grain et fourrager s’est déchiré sous l’impact de la grêle. Tous les niveaux de feuilles ont été touchés puisque les plants sont encore ...
Image Contenu lié à l’Image
Maïs grain et fourrager - Grêle
Maïs grain et fourrager - Grêle

Maïs grain et fourrager - Grêle

Le limbe de plusieurs feuilles de maïs grain et fourrager s’est déchiré (voir flèches) sous l’impact d’un gros épisode de grêle (juillet 2001). Tous les niveaux de feuilles on...
Image Contenu lié à l’Image
Maïs grain et fourrager - Insolation (coup de soleil) et température basse de l'air (froid)
Maïs grain et fourrager - Insolation (coup de soleil) et température basse de l'air (froid)

Maïs grain et fourrager - Insolation (coup de soleil) et température basse de l'air (froid)

À la face supérieure et inférieure des feuilles de maïs grain et fourrager, le limbe prend une teinte argentée. Chez le maïs, ce symptôme est caractéristique d’une insolation ...
Image Contenu lié à l’Image
Maïs grain et fourrager - Insolation (coup de soleil) et température basse de l'air (froid)
Maïs grain et fourrager - Insolation (coup de soleil) et température basse de l'air (froid)

Maïs grain et fourrager - Insolation (coup de soleil) et température basse de l'air (froid)

À la face supérieure et inférieure des feuilles de maïs grain et fourrager, le limbe prend une teinte argentée. Chez le maïs, ce symptôme est caractéristique d’une insolation ...
Image Contenu lié à l’Image
Maïs grain et fourrager - Insolation (coup de soleil) et température basse de l'air (froid)
Maïs grain et fourrager - Insolation (coup de soleil) et température basse de l'air (froid)

Maïs grain et fourrager - Insolation (coup de soleil) et température basse de l'air (froid)

À la face inférieure d’une feuille de maïs grain et fourrager, le limbe prend une teinte argentée. Chez le maïs, ce symptôme est caractéristique d’une insolation (coup de sole...
Image Contenu lié à l’Image
Maïs grain et fourrager - Insolation (coup de soleil) et température basse de l'air (froid)
Maïs grain et fourrager - Insolation (coup de soleil) et température basse de l'air (froid)

Maïs grain et fourrager - Insolation (coup de soleil) et température basse de l'air (froid)

À la face inférieure d’une feuille de maïs grain et fourrager, le limbe prend une teinte argentée. Chez le maïs, ce symptôme est caractéristique d’une insolation (coup de sole...
Image Contenu lié à l’Image
Maïs grain et fourrager - Insolation (coup de soleil) et température basse de l'air (froid)
Maïs grain et fourrager - Insolation (coup de soleil) et température basse de l'air (froid)

Maïs grain et fourrager - Insolation (coup de soleil) et température basse de l'air (froid)

À la face supérieure d’une feuille de maïs grain et fourrager, présence de taches blanches ou de brûlures blanchâtres au point de flexion de la feuille. Chez le maïs, ce sympt...
Image Contenu lié à l’Image
Maïs grain et fourrager - Insolation (coup de soleil) et température basse de l'air (froid)
Maïs grain et fourrager - Insolation (coup de soleil) et température basse de l'air (froid)

Maïs grain et fourrager - Insolation (coup de soleil) et température basse de l'air (froid)

À la face supérieure d’une feuille de maïs grain et fourrager, présence de taches blanches ou de brûlures blanchâtres au point de flexion de la feuille. Chez le maïs, ce sympt...
Image Contenu lié à l’Image
Maïs grain et fourrager - Insolation (coup de soleil) et température basse de l'air (froid)
Maïs grain et fourrager - Insolation (coup de soleil) et température basse de l'air (froid)

Maïs grain et fourrager - Insolation (coup de soleil) et température basse de l'air (froid)

Dans un champ de maïs grain et fourrager, quelques plants montrent une teinte argentée à la face supérieure et/ou inférieure des feuilles (voir flèches). Chez le maïs, ce symp...
Image Contenu lié à l’Image
Maïs grain et fourrager - Kabatiellose (Aureobasidium zeae)
Maïs grain et fourrager - Kabatiellose (Aureobasidium zeae)

Maïs grain et fourrager - Kabatiellose

Sur une feuille de maïs grain et fourrager, présence de nombreuses taches beiges de 1 à 4 mm de diamètre ayant une large marge pourpre à brune. Les taches sont entourées d’un ...
Image Contenu lié à l’Image
Maïs grain et fourrager - Kabatiellose (Aureobasidium zeae)
Maïs grain et fourrager - Kabatiellose (Aureobasidium zeae)

Maïs grain et fourrager - Kabatiellose

Sur une feuille de maïs grain et fourrager, présence de petites taches beiges ayant une marge pourpre à brune. Les taches sont entourées d’un halo jaune. Les taches sont plutô...
Image Contenu lié à l’Image
Maïs grain et fourrager - Kabatiellose (Aureobasidium zeae)
Maïs grain et fourrager - Kabatiellose (Aureobasidium zeae)

Maïs grain et fourrager - Kabatiellose

Sur une feuille de maïs grain et fourrager, présence de petites taches beiges ayant une marge pourpre à brune. Les taches sont entourées d’un halo jaune. Les taches sont plutô...
Image Contenu lié à l’Image
Maïs grain et fourrager - Légionnaire uniponctuée (Mythimna unipuncta)_1
Maïs grain et fourrager - Légionnaire uniponctuée (Mythimna unipuncta)_1

Maïs grain et fourrager - Légionnaire uniponctuée

Champ de maïs sévèrement endommagé par la légionnaire uniponctuée : ce ravageur est principalement associé aux plantes de la famille des graminées. Il s’attaque principaleme...
Image Contenu lié à l’Image
Maïs grain et fourrager - Légionnaire uniponctuée (Mythimna unipuncta)_2
Maïs grain et fourrager - Légionnaire uniponctuée (Mythimna unipuncta)_2

Maïs grain et fourrager - Légionnaire uniponctuée

Plant de maïs sévèrement endommagé par la légionnaire uniponctuée : ce ravageur est principalement associé aux plantes de la famille des graminées. Il s’attaque principaleme...
Image Contenu lié à l’Image
Maïs grain et fourrager - Lit de semence inadéquat
Maïs grain et fourrager - Lit de semence inadéquat

Maïs grain et fourrager - Lit de semence inadéquat

Un plant de maïs grain et fourrager a un faible développement. On constate que la levée est inégale selon la présence ou non de résidus de culture. Le semis a été effectué dan...
Image Contenu lié à l’Image
Maïs grain et fourrager - Lit de semence inadéquat
Maïs grain et fourrager - Lit de semence inadéquat

Maïs grain et fourrager - Lit de semence inadéquat

Le développement du système racinaire de ce plant de maïs grain et fourrager est perturbé par la présence de résidus de culture. Le semis a été effectué dans des résidus de ma...
Image Contenu lié à l’Image
Maïs grain et fourrager - Lit de semence inadéquat
Maïs grain et fourrager - Lit de semence inadéquat

Maïs grain et fourrager - Lit de semence inadéquat

Un plant de maïs grain et fourrager a un faible développement occasionné par la présence de résidus de culture. Le semis a été effectué dans des résidus de maïs à la suite du ...
Image Contenu lié à l’Image
Maïs grain et fourrager - Lit de semence inadéquat
Maïs grain et fourrager - Lit de semence inadéquat

Maïs grain et fourrager - Lit de semence inadéquat

Le développement du système racinaire de ce plant de maïs grain et fourrager est perturbé par la présence de résidus de culture. Le semis a été effectué dans des résidus de ma...
Image Contenu lié à l’Image
Maïs grain et fourrager - Lit de semence inadéquat
Maïs grain et fourrager - Lit de semence inadéquat

Maïs grain et fourrager - Lit de semence inadéquat

Un plant de maïs grain et fourrager a un faible développement. On constate que la levée est inégale selon la présence ou non de résidus de culture. Le semis a été effectué dan...
Image Contenu lié à l’Image
Maïs grain et fourrager - Mildiou (Sclerophthora macrospora)
Maïs grain et fourrager - Mildiou (Sclerophthora macrospora)

Maïs grain et fourrager - Mildiou

La panicule de maïs est complètement déformée. Il y a une prolifération de tissus foliaires au lieu des épillets habituels. Le résultat des tests de laboratoire n’a pas permis...
Image Contenu lié à l’Image
Maïs grain et fourrager - Mildiou (Sclerophthora macrospora)
Maïs grain et fourrager - Mildiou (Sclerophthora macrospora)

Maïs grain et fourrager - Mildiou

La panicule de maïs est complètement déformée. Il y a une prolifération de tissus foliaires au lieu des épillets habituels. Le même phénomène est observé sur l'épi. Le résulta...
Image Contenu lié à l’Image
Maïs grain et fourrager - Mildiou (Sclerophthora macrospora)
Maïs grain et fourrager - Mildiou (Sclerophthora macrospora)

Maïs grain et fourrager - Mildiou

La panicule de maïs est complètement déformée. Il y a une prolifération de tissus foliaires au lieu des épillets habituels. Le même phénomène est observé sur l'épi. Le résulta...
Image Contenu lié à l’Image
Maïs grain et fourrager - Mildiou (Sclerophthora macrospora)
Maïs grain et fourrager - Mildiou (Sclerophthora macrospora)

Maïs grain et fourrager - Mildiou

La panicule de maïs est complètement déformée. Il y a une prolifération de tissus foliaires au lieu des épillets habituels. Le résultat des tests de laboratoire n’a pas permis...
Image Contenu lié à l’Image
Maïs grain et fourrager - Moisissure noire (Cladosporium sp.)_5
Maïs grain et fourrager - Moisissure noire (Cladosporium sp.)_5

Maïs grain et fourrager - Moisissure noire

Sur un épi de maïs grain et fourrager, présence d’une moisissure noire à la surface et entre les grains. Les tests de laboratoire ont révélé la présence du champignon Cladospo...
Image Contenu lié à l’Image
Maïs grain et fourrager - Moisissure noire (Cladosporium sp.)_6
Maïs grain et fourrager - Moisissure noire (Cladosporium sp.)_6

Maïs grain et fourrager - Moisissure noire

Sur un épi de maïs grain et fourrager, présence d’une moisissure noire à la surface et entre les grains. Les tests de laboratoire ont révélé la présence du champignon Cladospo...
Image Contenu lié à l’Image
Maïs grain et fourrager - Moisissure noire (Cladosporium sp.)_4
Maïs grain et fourrager - Moisissure noire (Cladosporium sp.)_4

Maïs grain et fourrager - Moisissure noire

Sur un épi de maïs grain et fourrager, présence d’un mycélium blanc qui engendre une pourriture affectant une proportion importante de l'épi. Certains grains sont également no...
Image Contenu lié à l’Image
Maïs grain et fourrager - Mouche des semis (Delia platura)_1
Maïs grain et fourrager - Mouche des semis (Delia platura)_1

Maïs grain et fourrager - Mouche des semis

Plantule de maïs présentant des dommages causés par la mouche des semis. Le collet de la plantule a été grignoté et présente des trous ainsi que des brunissements. Une larve e...
Image Contenu lié à l’Image
Maïs grain et fourrager - Nématode aiguille (Longidorus sp.)
Maïs grain et fourrager - Nématode aiguille (Longidorus sp.)

Maïs grain et fourrager - Nématode aiguille (Longidorus sp.)

Les racines d’un plant de maïs grain et fourrager sont brunâtres et montrent le développement de longues racines fasciculées dont l'extrémité est renflée. Il y a peu de racine...
Image Contenu lié à l’Image
Maïs grain et fourrager - Nématode aiguille (Longidorus sp.)
Maïs grain et fourrager - Nématode aiguille (Longidorus sp.)

Maïs grain et fourrager - Nématode aiguille (Longidorus sp.)

Comparaison entre un plant de maïs grain et fourrager sain et affecté. Le plant affecté est deux fois plus petit, montre des feuilles vert pâle à jaunes et un système racinair...
Image Contenu lié à l’Image
Maïs grain et fourrager - Nématode aiguille (Longidorus sp.)
Maïs grain et fourrager - Nématode aiguille (Longidorus sp.)

Maïs grain et fourrager - Nématode aiguille (Longidorus sp.)

Ce plant de maïs grain et fourrager est deux fois plus petit qu’un plant sain montre des feuilles vert pâle à jaunes et un système racinaire réduit. Les racines sont fasciculé...
Image Contenu lié à l’Image
Maïs grain et fourrager - Nématode aiguille (Longidorus sp.)
Maïs grain et fourrager - Nématode aiguille (Longidorus sp.)

Maïs grain et fourrager - Nématode aiguille (Longidorus sp.)

Les racines d’un plant de maïs grain et fourrager sont peu développées, brunâtres et montrent un renflement à leur extrémité. Il a absence de racines secondaires et de poils a...
Image Contenu lié à l’Image
  • Afficher plus
Logo IRIIS
L’outil IRIIS est enrichi par le MAPAQ
et ses collaborateurs
Liens 

 À propos
 Fournir des images
 Crédits photo
 Glossaire
 Conditions d'utilisation
 Admin

Contact 

Téléphone : 418 523-5411
Sans frais : 1 888 535-2537
Télécopieur : 418 644-5944
Courriel : iriisphytoprotection@craaq.qc.ca

Adresse 

Édifice Delta 1
2875, boulevard Laurier, 9e étage

Québec (Québec) G1V 2M2
Canada

Propulsé par craaq

Ce site est optimisé pour Mozilla Firefox et Google Chrome

© CRAAQ, 2023 Tous droits réservés

       
sfy39587stp18
Drupal 9 Appliance - Powered by TurnKey Linux