Description: Les folioles de fraisier présentent des stries ou des marbrures jaunes. Le limbe est parfois déformé. Ce symptôme s’apparente à la jaunisse de juin, qui est un désordre génétique non infectieux chez le fraisier dont la cause et les tests de détection demeurent inconnus.
Crédit photo: Laboratoire d'expertise et de diagnostic en phytoprotection - MAPAQ
Légende: Marbrures et stries jaunes sur feuilles de fraisier
Description: Les folioles de fraisier présentent des stries blanches près de la marge. Ce symptôme s’apparente à la jaunisse de juin, qui est un désordre génétique non infectieux chez le fraisier dont la cause et les tests de détection demeurent inconnus.
Crédit photo: Laboratoire d'expertise et de diagnostic en phytoprotection - MAPAQ
Légende: Stries blanches sur folioles de fraisier
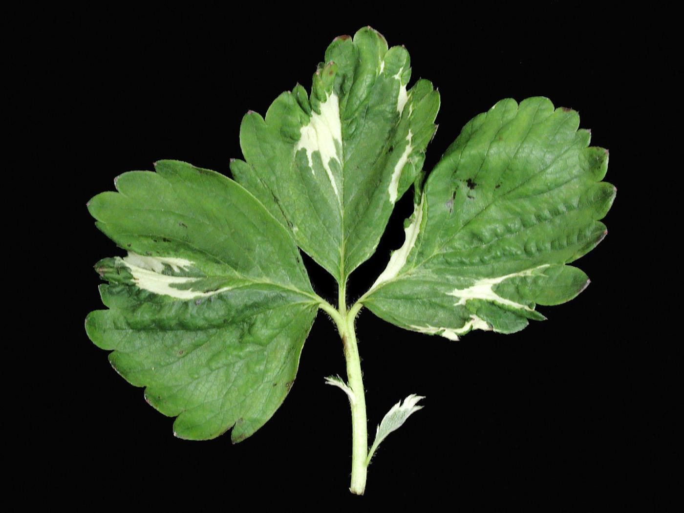
Description: Les folioles de fraisier présentent des stries blanches près de la marge. Ce symptôme s’apparente à la jaunisse de juin, qui est un désordre génétique non infectieux chez le fraisier dont la cause et les tests de détection demeurent inconnus.
Crédit photo: Laboratoire d'expertise et de diagnostic en phytoprotection - MAPAQ
Légende: Stries blanches sur folioles de fraisier
Description: Les folioles de fraisier présentent des stries blanches et roses près de la marge ou entre les nervures. Ce symptôme s’apparente à la jaunisse de juin, qui est un désordre génétique non infectieux chez le fraisier dont la cause et les tests de détection demeurent inconnus.
Crédit photo: MAPAQ
Légende: Stries blanches et roses sur folioles de fraisier
Description: Les folioles de fraisier présentent des stries blanches près de la marge ou entre les nervures. Ce symptôme s’apparente à la jaunisse de juin, qui est un désordre génétique non infectieux chez le fraisier dont la cause et les tests de détection demeurent inconnus.
Crédit photo: Laboratoire d'expertise et de diagnostic en phytoprotection - MAPAQ
Légende: Stries blanches sur folioles de fraisier
Fraise - Jaunisse de juin
Fraise - Jaunisse de juin
Fraise - Jaunisse de juin
Fraise - Jaunisse de juin
Fraise - Jaunisse de juin
Description

Le jaune de juin est un trouble génétique non infectieux qui se manifeste uniquement chez le fraisier et sur quelques cultivars seulement (‘Bloomidon’ et ‘Glooscap’). Ce désordre est occasionnel et mineur. Les symptômes deviennent progressivement plus importants chaque année et la vigueur des plants et la production de fruits diminuent. La jaunisse de juin n’est pas transmise aux plants sains par le greffage ni par les insectes, mais d’un plant mère porteur à ses plants filles (stolons). Au champ, les symptômes de la jaunisse de juin sont présents en petits foyers et tous les plants de la parcelle sont affectés.

Symptômes et dommages

Feuille : anomalie de coloration variant du jaune au blanc, se présentant sous la forme de stries ou de marbrures. Parfois jaunissement complet des folioles. Les symptômes affectent en premier les jeunes feuilles.
 
Fruit : sont petits et d'une piètre qualité.
 
Plant : ont une croissance ralentie.

Ne pas confondre

La jaunisse de juin peut être confondue avec une chimère, une carence en fer (nervure demeure verte) et une maladie virale. Par contre, aucun de ces désordres ou problèmes n’est caractérisé par une variation saisonnière.

Prévention

La jaunisse de juin est un désordre génétique non infectieux incurable. Les plants affectés doivent être détruits. Il faut maintenir les plants vigoureux et ne pas multiplier les plants atteints.

Références et liens

Lambert L. (2007). Jaunisse de juin. Dans Guide des carences, désordres et problèmes de phytotoxicité du fraisier, du framboisier et du bleuetier. CRAAQ (Centre de référence en agriculture et agroalimentaire du Québec). p. 59-60.
 
Maas, J. L. (Eds) (1998). June Yellows. Dans Compendium of Strawberry Diseases. 2e éd. APS Press. The American Phytopathological Society Press, St-Paul, Minnesota. p. 8.
 
Converse R. H. (Ed) (1987). Strawberry June Yellows. Dans Virus Disease of Small Fruits. United States Department of Agriculture, Agricultural Handbook No. 631. p. 69-72.

http://www.omafra.gov.on.ca/IPM/french/strawberries/diseases-and-disorders/june-yellows.html