Strawberry

Fragaria x ananassa

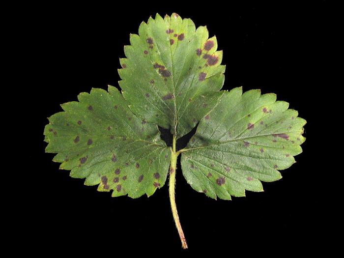
Description

Text description Fragaria x ananassa

Informations complémentaires

Informations complémentaire Fragaria x ananassa

Affecté par

Maladies parasitaires