Le potassium est un catalyseur d’enzymes, il joue un rôle majeur dans la régulation de la pression osmotique, il intervient dans la formation, le transport et l’entreposage des sucres, la synthèse des protéines et la photosynthèse. Il participe au maintien de la turgescence des cellules des feuilles et augmente la résistance des cultures à la sécheresse. Il est impliqué dans le prélèvement du calcium (Ca) et du magnésium (Mg). Le potassium est un élément mobile dans la plante.
Le fraisier a une demande élevée en potassium et il est un constituant majeur des fruits. Une carence en potassium survient généralement lors de la floraison et la demande en potassium est la plus élevée lors de la mise à fruit. Les plants carencés sont moins résistants à certaines maladies fongiques (Verticillium, Phytophthora, pourriture noire des racines), à la sécheresse et au gel hivernal. Chez la fraise, la carence en potassium est occasionnelle et mineure, mais peut à l’occasion être sévère.
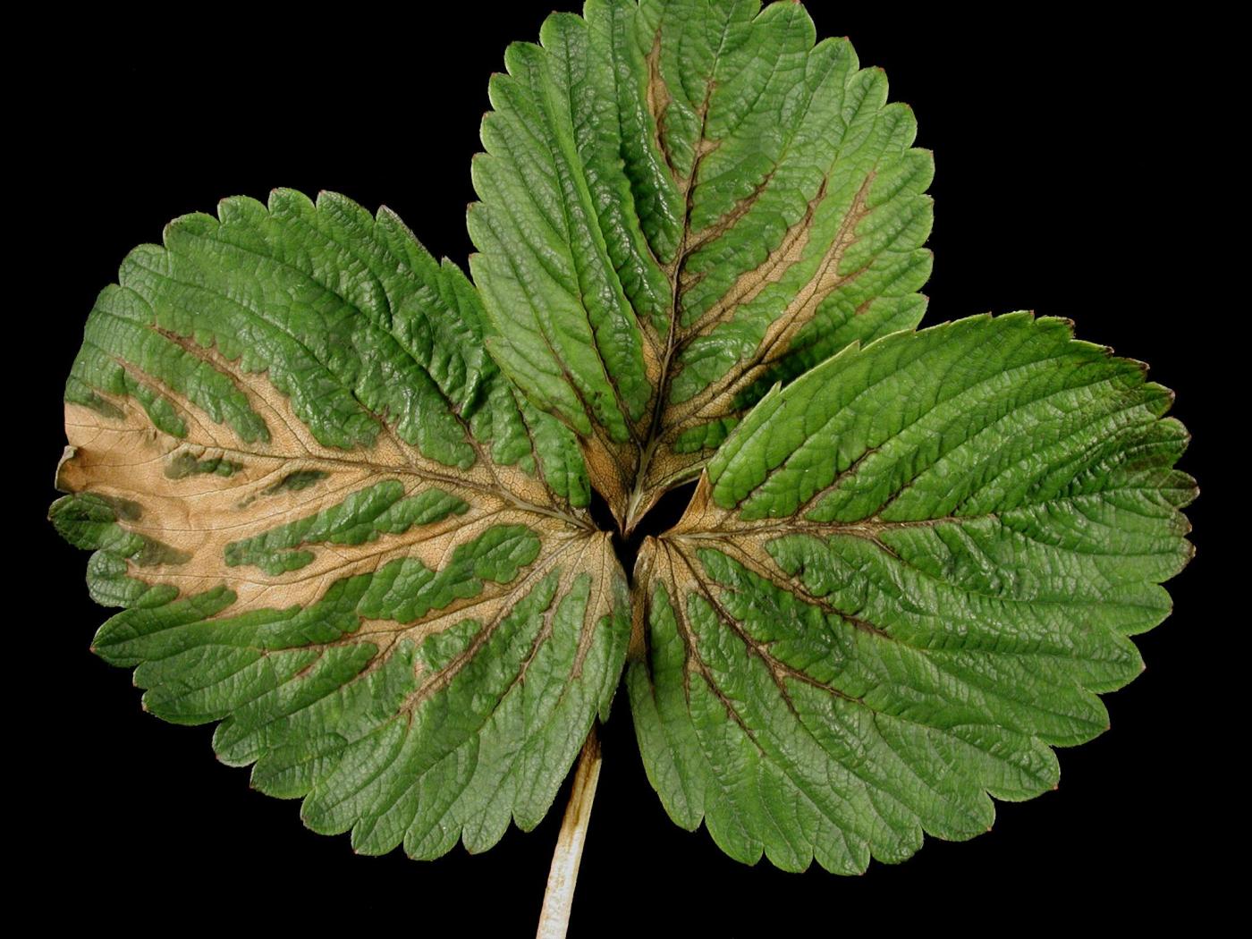
Feuille et pétiole : se manifeste sur les feuilles matures sous deux formes soit (1) par le brunissement débutant à la base des folioles et progressant sur les nervures et les pétioles. Les tissus affectés sèchent. (2) par le rougissement uniforme de la marge des feuilles, anomalie de coloration visible sur les deux faces. Le rougissement progresse entre les nervures mais n’atteint jamais la nervure centrale. C’est le symptôme généralement observé sur les feuilles de fraisier. Nécrose à la marge des feuilles âgées. Le pétiole peut devenir nécrotique ce qui cause le noircissement des folioles.
La carence en potassium causant le brunissement des nervures (symptôme 1) peut être confondue avec une brûlure causée par les engrais granulaires. Le symptôme 2 peut être confondu avec une salinité élevée (rougissement puis brunissement de la marge) ou une carence en phosphore (rougissement à la face inférieure, vert foncé è la face supérieure).
Pour prévenir les risques de carence en potassium, il faut faire des applications de potassium au sol, augmenter l’apport durant la fructification et éviter les excès de calcium et de magnésium.
Lambert L. (2007). Potassium. Dans Guide des carences, désordres et problèmes de phytotoxicité du fraisier, du framboisier et du bleuetier. CRAAQ (Centre de référence en agriculture et agroalimentaire du Québec). p. 28-30.
Ulrich A., Mostafa, M. A. E. & Allen W. W. (1980). Potassium. Dans Strawberry Deficiency Symptoms: A visual and Plant Analysis Guide to Fertilization. University of California. p. 22-23.


