Recherche par mots clés :

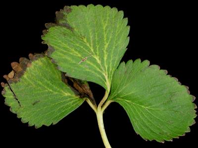
Les herbicides du groupe 5 inhibent la photosynthèse en bloquant le transfert d'électrons dans le photosystème II et le transfert de l'énergie lumineuse. Ils incluent les familles d'herbicides telles que : les triazines (ex. : Aatrex, Princep, etc.), les phényl-carbamates (ex. : Betamix, etc.), les uraciles (ex. : Sinbar, etc.), les triazinones (Sencor, Velpar, etc.), les urées (Karmex, etc.) et les amides. Trois des familles d'herbicides, soient les triazines, les phényl-carbamates et les uraciles sont systémiques : elles peuvent être absorbées par le feuillage mais sont le plus souvent absorbées par les racines et sont transportées dans toute la plante via le xylème. Les herbicides du groupe 5 sont utilisés pour détruire les mauvaises her
Les herbicides du groupe 5 inhibent la photosynthèse en bloquant le transfert d'électrons dans le photosystème II et le transfert de l'énergie lumineuse. Ils incluent les familles d'herbicides telles que : les triazines (ex. : Aatrex, Princep, etc.), les phényl-carbamates (ex. : Betamix, etc.), les uraciles (ex. : Sinbar, etc.), les triazinones (Sencor, Velpar, etc.), les urées (Karmex, etc.) et les amides. Trois des familles d'herbicides, soient les triazines, les phényl-carbamates et les uraciles sont systémiques : elles peuvent être absorbées par le feuillage mais sont le plus souvent absorbées par les racines et sont transportées dans toute la plante via le xylème. Les herbicides du groupe 5 sont utilisés pour détruire les mauvaises her
- Les rouilles sont des maladies complexes causées par des champignons qui sont des parasites obligatoires. Elles sont autoïques ou hétéroïques et généralement spécifiques à leur hôte et à leur famille. Dans sa forme la plus complexe, les rouilles ont cinq types de spores (spermatie, écidiospore, urédospore, téliospore et basidiospore).   Chez les plantes ornementales, les rouilles sont plutôt rares, hormis la rouille du géranium, et ont peu d'impact économique, contrairement à la rouille chez les céréales. Les plants affectés meurent rarement, c'est surtout la qualité esthétique qui est affectée, les rendant invendables. Chez la monarde, la rouille est causée essentiellement par P. menthae (rouille autoïque). Les champignons
Les herbicides du groupe 5 inhibent la photosynthèse en bloquant le transfert d'électrons dans le photosystème II et le transfert de l'énergie lumineuse. Ils incluent les familles d'herbicides telles que : les triazines (ex. : Aatrex, Princep, etc.), les phényl-carbamates (ex. : Betamix, etc.), les uraciles (ex. : Sinbar, etc.), les triazinones (Sencor, Velpar, etc.), les urées (Karmex, etc.) et les amides. Trois des familles d'herbicides, soient les triazines, les phényl-carbamates et les uraciles sont systémiques : elles peuvent être absorbées par le feuillage mais sont le plus souvent absorbées par les racines et sont transportées dans toute la plante via le xylème. Les herbicides du groupe 5 sont utilisés pour détruire les mauvaises her
Les herbicides du groupe 5 inhibent la photosynthèse en bloquant le transfert d'électrons dans le photosystème II et le transfert de l'énergie lumineuse. Ils incluent les familles d'herbicides telles que : les triazines (ex. : Aatrex, Princep, etc.), les phényl-carbamates (ex. : Betamix, etc.), les uraciles (ex. : Sinbar, etc.), les triazinones (Sencor, Velpar, etc.), les urées (Karmex, etc.) et les amides. Trois des familles d'herbicides, soient les triazines, les phényl-carbamates et les uraciles sont systémiques : elles peuvent être absorbées par le feuillage mais sont le plus souvent absorbées par les racines et sont transportées dans toute la plante via le xylème. Les herbicides du groupe 5 sont utilisés pour détruire les mauvaises her
Les herbicides du groupe 5 inhibent la photosynthèse en bloquant le transfert d'électrons dans le photosystème II et le transfert de l'énergie lumineuse. Ils incluent les familles d'herbicides telles que : les triazines (ex. : Aatrex, Princep, etc.), les phényl-carbamates (ex. : Betamix, etc.), les uraciles (ex. : Sinbar, etc.), les triazinones (Sencor, Velpar, etc.), les urées (Karmex, etc.) et les amides. Trois des familles d'herbicides, soient les triazines, les phényl-carbamates et les uraciles sont systémiques : elles peuvent être absorbées par le feuillage mais sont le plus souvent absorbées par les racines et sont transportées dans toute la plante via le xylème. Les herbicides du groupe 5 sont utilisés pour détruire les mauvaises her

Ceci est la version du site en développement. Pour la version en production, visitez ce lien.

En cliquant sur « Accepter tous les cookies », vous acceptez le stockage de ces témoins de connexion sur votre appareil. Ceux-ci permettent au CRAAQ de générer des statistiques et d'améliorer votre expérience utilisateur. Vous pourrez les désactiver en tout temps dans votre fureteur Web.